Waiting for video...
ONLINE AUCTION from 12th APRIL-14th APRIL
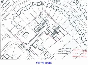
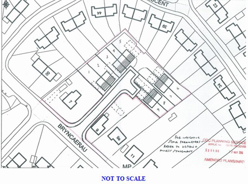
This plot of land had outline planning consent granted for a development site, which has now lapsed, but the land lays within the development zone of the village so the principle of planning a development site has been established. A recent application was for one link of three and six semi detached houses.
This plot is currently overgrown, situated to the rear gardens of 7, 9 and 9a Bryncaerau. There is an access lane (currently overgrown) in place from the road. The site is conveniently situated in the village of Trimsaran which offers the usual range of local facilities, including a primary school, doctors surgery, pharmacy, mini Morrisons, post office, fish and chip shop and pizzeria, gym and rugby facilities. Approximately 5 miles from Llanelli, 3 miles from Kidwelly and its historic Norman castle and 12 miles from the County and Administrative town of Carmarthen. Ffos Las racecourse lays less that a mile from the site, while Pembrey Country Park one of Wales top tourist attractions, boasts 500 acres of woodland and 8 miles of golden sandy beaches, dry ski slope and toboggan run.
To be sold with vacant possession
Advised Freehold - to be verified by solicitor
Auction fees: The sale of each lot is subject to a buyer’s premium/admin fee of 1.5% of the purchase price (subject to a minimum of £1,500 for sale prices between £1 and £50,000 or subject to a minimum of £2,400 for sale prices of £50,001 upwards) including VAT unless otherwise stated.
Additional costs: The purchase of the property may be subject to (but are not limited to), VAT (if applicable), reimbursement of the seller’s search fees, reimbursement of seller’s legal and/or sales costs, stamp duty/land transaction tax (LTT). Please check accompanying legal pack for further details.
* Generally speaking Guide Prices are provided as an indication of each seller's minimum expectation, i.e. 'The Reserve'. They are not necessarily figures which a property will sell for and may change at any time prior to the auction. Virtually every property will be offered subject to a Reserve (a figure below which the Auctioneer cannot sell the property during the auction) which we expect will be set within the Guide Range or no more than 10% above a single figure Guide.
As a trusted partner of Paul Fosh Auctions, Together could offer the auction finance you need, when you need it. Visit togethermoney.com for more information.
If considering a mortgage, we advise that you inspect and consider the property carefully with your lender before bidding.
By setting a proxy bid, the system will automatically bid on your behalf to maintain your position as the highest bidder, up to your proxy bid amount. If you are outbid, you will be notified via email so you can opt to increase your bid if you so choose.
If two of more users place identical bids, the bid that was placed first takes precedence, and this includes proxy bids.
Another bidder placed an automatic proxy bid greater or equal to the bid you have just placed. You will need to bid again to stand a chance of winning.