Waiting for video...
ONLINE AUCTION from 8th DECEMBER - 10th DECEMBER
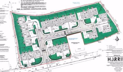
Approximately 1.96 acres of roughly level land with planning consent for 19 detached residential dwellings. (reserved matters approved). The 19 dwellings are comprised of 9 x 3 bedroom dormer bungalows, 6 x 3 bedroom houses and 4 x 2 bedroom houses. Further information regarding the planning application can be found on the Pembrokeshire County Council website, planning reference number: 18/1258/PA
The site in parts fronts the northern side of County Road through the settlement of Hermon. Opposite the site is a row of two storey terraced dwellings known as Taylors Row and to the east is an enclosed public playing field. The site further benefits from being located two miles from thriving village of Crymych which is home to Ysgol Preseli. The site is also within close proximity located very close to the Preseli Hills, yet not far from the coast. Cardigan is about 10 miles away and in the other direction approximately 14 miles away is Narberth.
An added benefit to this development is that there are no affordable Affordable dwellings, or Developer Contributions (Subject to a Viability Assessment as per S106 agreement)
All services to be connected by the buyer (no mains gas in the village).
To be sold with vacant possession
Advised Freehold - to be verified by solicitor
Auction fees: The sale of each lot is subject to a buyer’s premium/admin fee of 1.5% of the purchase price (subject to a minimum of £1,500 for sale prices between £1 and £50,000 or subject to a minimum of £2,400 for sale prices of £50,001 upwards) including VAT unless otherwise stated.
Additional costs: The purchase of the property may be subject to (but are not limited to), VAT (if applicable), reimbursement of the seller’s search fees, reimbursement of seller’s legal and/or sales costs, stamp duty/land transaction tax (LTT). Please check accompanying legal pack for further details.
* Generally speaking Guide Prices are provided as an indication of each seller's minimum expectation, i.e. 'The Reserve'. They are not necessarily figures which a property will sell for and may change at any time prior to the auction. Virtually every property will be offered subject to a Reserve (a figure below which the Auctioneer cannot sell the property during the auction) which we expect will be set within the Guide Range or no more than 10% above a single figure Guide.
As a trusted partner of Paul Fosh Auctions, Together could offer the auction finance you need, when you need it. Visit togethermoney.com for more information.
If considering a mortgage, we advise that you inspect and consider the property carefully with your lender before bidding.
By setting a proxy bid, the system will automatically bid on your behalf to maintain your position as the highest bidder, up to your proxy bid amount. If you are outbid, you will be notified via email so you can opt to increase your bid if you so choose.
If two of more users place identical bids, the bid that was placed first takes precedence, and this includes proxy bids.
Another bidder placed an automatic proxy bid greater or equal to the bid you have just placed. You will need to bid again to stand a chance of winning.