ONLINE AUCTION from 10th MARCH - 12th MARCH 2016
Planning permission has been granted to create a two bedroom apartments in the roof space of an established blocks of flats. The two bedroom apartment will require roof extension to create a spacious dormer apartment at the rear of the block. The apartment will have a 999-year lease on a peppercorn ground rent.
The site currently comprises a three storey apartment building containing 6 x two-bedroom flats. A car park at the rear of the site contains 18 car parking spaces, one per apartment. The planning permission allows for the replacement of the roof of each block with a new roof, 0.5m higher than the existing, including rear box-dormer type roof extension, to create a two bedroom flat in the roof space, along with an allocated car parking space as well as secure storage for bins and bicycles
AGENTS NOTE: The vendor is also selling the roof space with planning in the neighbouring block - Farlington Court, Cranleigh Rise, Cardiff CF3 4AN. See lot number 62
ALSO NOTE: There are no viewings.
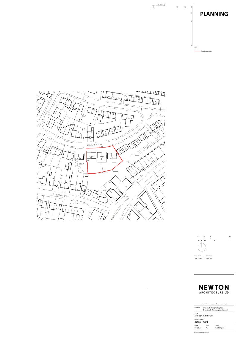
The roof space is located at Farlington, Cheriton, and Roehampton Courts, Cranleigh Rise, Cardiff CF3 4AN
Llanrumney is a suburb in east Cardiff, Wales.
Planning
Planning permission has been granted for a 2 bedroom dormer apartment
Planning ref: PA/22/00118
Local Authority Cardiff Council
Each Apartment
Top Floor Lounge, Kitchen, bathroom and two bedrooms
Ouside Parking space. Secure storage for bins and bicycles
15/01/2026
999 years (999 years unexpired)
To be sold with vacant possession
INVESTORS: If you are looking for assistance in tenant find and/or management packages, information on rental income/interest potential we have a Lettings Department that can help you. Please call us or email lettings@paulfoshlettings.com for invaluable advice.
Advised Leasehold - to be verified by solicitor
Auction fees: The sale of each lot is subject to a buyer’s premium/admin fee of 1.5% of the purchase price (subject to a minimum of £1,500 for sale prices between £1 and £50,000 or subject to a minimum of £2,400 for sale prices of £50,001 upwards) including VAT unless otherwise stated.
Additional costs: The purchase of the property may be subject to (but are not limited to), VAT (if applicable), reimbursement of the seller’s search fees, reimbursement of seller’s legal and/or sales costs, stamp duty/land transaction tax (LTT). Please check accompanying legal pack for further details.
* Generally speaking Guide Prices are provided as an indication of each seller's minimum expectation, i.e. 'The Reserve'. They are not necessarily figures which a property will sell for and may change at any time prior to the auction. Virtually every property will be offered subject to a Reserve (a figure below which the Auctioneer cannot sell the property during the auction) which we expect will be set within the Guide Range or no more than 10% above a single figure Guide.
As a trusted partner of Paul Fosh Auctions, Together could offer the auction finance you need, when you need it. Visit togethermoney.com for more information.
If considering a mortgage, we advise that you inspect and consider the property carefully with your lender before bidding.
By setting a proxy bid, the system will automatically bid on your behalf to maintain your position as the highest bidder, up to your proxy bid amount. If you are outbid, you will be notified via email so you can opt to increase your bid if you so choose.
If two of more users place identical bids, the bid that was placed first takes precedence, and this includes proxy bids.
Another bidder placed an automatic proxy bid greater or equal to the bid you have just placed. You will need to bid again to stand a chance of winning.